Moderne traumebehandling bygger på enkle prinsipper med kontroll over luftveier, ventilasjon og blødning som de primære siktemål. Opplæringen i dette er systematisert gjennom flere undervisningsopplegg. Mange bygger på den amerikanske kirurgforenings kurs Advanced Trauma Life Support (ATLS) (1). I dette konseptet inngår tidlig røntgenundersøkelse av brystkasse, bekken og nakke.
Gjennom BEST-kursene (2), arrangert av Stiftelsen BEST: Bedre & systematisk traumebehandling, har vi erfart at en del ortopeder og kirurger mener at undersøkelsen av bekkenet kan utsettes eller unnlates dersom bekkenet etter klinisk undersøkelse er stabilt. På grunnlag av fire sykehistorier har vi gjennomgått litteraturen og begrunner her anbefalingen om fortsatt å la røntgenundersøkelse av bekkenet inngå i rutineundersøkelsen straks etter innkomst av pasienter med multitraume.
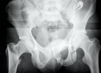
Pasient 1. En 18-årig bilfører ble funnet liggende på magen 20 m fra en ødelagt bil. Han hadde en åpen femurfraktur og flere synlige skader i begge underekstremiteter. Glasgow Coma Scale var 8, systolisk blodtrykk 80 mm Hg og pulsen 90 per minutt.
På akuttrommet var han fortsatt sirkulatorisk ustabil, til tross for massive infusjoner og blodtransfusjoner. Ved den initiale undersøkelse, utført av ortoped, ble bekkenet vurdert som stabilt. Det ble påvist tallrike andre ortopediske skader. Røntgen thorax og bekken ble tatt rutinemessig straks etter innkomst. Mens bildene ble fremkalt, ble pasienten undersøkt på nytt. Denne gangen fant man en stor diastase i symfysen. Røntgen av bekkenet viste betydelig diastase i symfysen, med avsprengt venstre acetabulum og venstre caput femoris luksert inn i bekkenet, i tillegg til flere andre frakturer (fig 1).
Bekkenfrakturen ble vurdert som sannsynlig årsak til pasientens ustabile sirkulasjon. Bekkenet og hele venstre underekstremitet ble stabilisert med ekstern fiksasjon, og blodtrykket stabiliserte seg. Seks måneder etter ulykken var pasienten oppegående, uten krykker, men med lett halting.
Pasient 2. En 29 år gammel motorsyklist kolliderte med møtende bil i høy hastighet. Luftambulanselege kom frem kort tid etter ulykken. Pasienten var da våken og hadde ubesværet respirasjon. Han angav smerter i ryggen og i underekstremitetene. Bekkenet ble vurdert som stabilt. Under transport ble pasienten klam og kaldsvett.
Ved innkomst i sykehus var pulsen 83 per minutt, systolisk blodtrykk 149 mm Hg og Glasgow Coma Scale var 15. Etter ca. 15 minutter var systolisk blodtrykk falt til 100 mm Hg. Rutinemessig røntgen av bekkenet viste ustabil bekkenfraktur (fig 2), og videre CT-utredning viste en dislokasjonsfraktur i os ileum på den ene siden og dislokasjon i iliosakralledd på den andre. I tillegg hadde han femurfraktur, lungekontusjon og nyrekontusjon. Man startet med operasjon av femurfrakturen og pasienten ble sirkulatorisk ustabil peroperativt. Laparotomi viste en liten venøs blødning. Etter hvert ble det anlagt en ekstern fiksasjon av bekkenet, og den kliniske situasjonen bedret seg. Definitiv kirurgi ble gjort ved en senere anledning. Pasienten har noe smerter, men er i arbeid.
Pasient 3. En tidligere frisk 72 år gammel mann falt ned en ca. ni meter høy skrent. Ved innkomst hadde han redusert bevissthet (Glasgow Coma Scale 9), men beveget spontant på alle ekstremiteter. Systolisk blodtrykk ved innkomst var 60 mm Hg (palpatorisk). Han hadde flere sår i hodet og ansiktet. Det var normale respirasjonslyder, og røntgen thorax viste ingen tegn til skade. Abdomen var bløt og bekkenet ble vurdert å være stabilt. Det ble ikke tatt røntgen av bekkenet. Pasienten døde kort tid etter innkomst. Obduksjon viste at han døde av bekkenfrakturer med store blødninger.
Pasient 4. En 16 år gammel gutt var passasjer på en mellomstor motorsykkel som kolliderte med en møtende motorsykkel. Begge førerne døde på stedet. Pasienten gikk selv med støtte til en bil ca. 50 meter fra skadestedet. Han lå i bilen, Glasgow Coma Scale var 14, blødde fra munnen og hadde en åpenbar ansiktsskade med kjevefraktur. Han var blek, kald på hendene, hadde puls 110 per minutt og frøs. Blodtrykket var 130 mm Hg. Han angav mest smerte i kjeven, men også nederst i magen. Han kunne bevege beina.
Bekkenet ble av luftambulanselege vurdert som stabilt. Han var antydet øm i nedre del av abdomen. I akuttmottaket var første måling av Hb 13 g/100 ml, pulsen 130 per minutt, og blodtrykket uendret.
Røntgen bekken tatt i akuttmottaket viste diastase i symfysen (fig 3) og CT-undersøkelse viste det samme, med ekstravasering av kontrast fra symfysen og retroperitonealt i bekkenet.
Over de neste seks timene falt hemoglobinkonsentrasjonen til om lag 7 g/100 ml og han trengte transfusjon. Pasienten hadde en a. iliaca-skade som ble radiologisk embolisert. Han overlevde, men endelig behandlingsresultat er ukjent.
Diskusjon
Primærundersøkelsen av pasientene ble utført av leger med varierende erfaring, og på pasienter med livstruende skader i kaotiske situasjoner. Undersøkelsesmetodikken var ikke standardisert, men et uttrykk for dagens praksis. Sykehistoriene illustrerer vår erfaring etter å ha vært på 28 av de 50 norske sykehus som mottar pasienter med alvorlige skader.
Høyenergetiske skader i bekkenringen er assosiert med høy morbiditet, og en mortalitet på 25 – 35 % (3, 4). Målet med primærbehandlingen er å få kontroll over livstruende blødninger raskt. Dette kan oppnås midlertidig med et tøystykke stramt rundt bekkenet (5). Ved disse skadene har initiale behandlingstiltak betydelig innflytelse på både overlevelse og senere funksjon (6, 7). Standardiserte protokoller for initialbehandling og operasjonsprosedyrer reduserer mortaliteten (8). Ved traumer som er tilstrekkelig kraftige til å skade bekkenringen, må man forvente forekomst av flere skader i nærliggende organsystemer (9, 10).
Røntgen av bekkenet gir viktige opplysninger ved vurdering av skadens alvorlighetsgrad, samtidige abdominale skader og blodtap, og har avgjørende betydning ved håndtering av pasienten i de første 24 timene etter traumet (11). I en studie (12) fant man at kun 47 % av pasientene med bekkenfrakturer hadde positive kliniske funn. Andre har funnet at 91 % av alle frakturer var synlige på vanlig røntgen bekken når bildene ble sammenliknet med CT (13). Ingen av de ikke-erkjente frakturene hadde kliniske konsekvenser. En annen undersøkelse viste at sensitiviteten ved konvensjonell røntgenundersøkelse av bekkenet i akuttrommet er 68 % sammenliknet med CT (14), og at røntgenundersøkelse av bekkenet kan unnlates hos hemodynamisk stabile pasienter som likevel skal CT-undersøkes.
I en nyere studie (15) er klinisk undersøkelse vurdert mot rutinemessig røntgen hos 2 176 pasienter med normal eller bare helt ubetydelig nedsatt bevissthet. I denne pasientgruppen fant man at klinisk undersøkelse er en mer sensitiv metode enn rutinemessig røntgen av bekkenet, og at oversette frakturer ikke har prognostisk betydning.
Moderat alkoholpåvirkning medfører ingen økt hyppighet av oversette bekkenskader hos pasienter med Glasgow Coma Scale Score over 13 og uten smertefulle og distraherende tilleggsskader (16, 17).
Den amerikanske radiologforening har en hjemmeside med ekspertvurderinger av bildediagnostikk (18), som støtter våre råd. Det anbefales rutinemessig røntgen av bekkenet hos alle multitraumatiserte.
Konklusjon
Rutinemessig røntgenundersøkelse av bekkenet bør være en del av den standardiserte prosedyren ved initialbehandling av multitraumatiserte pasienter som har redusert bevissthet (Glasgow Coma Scale Score < 14), betydningsfull rus, som klager på smerter fra bekkenregionen eller som har andre betydningsfulle skader.
Stiftelsen BEST: Bedre & systematisk traumebehandling har som mål å forbedre skadebehandling og omfatter et frivillig nettverk av 28 sykehus, organisert i en ideell stiftelse.
Interessekonflikter: Ingen
Hovedbudskap
Klinisk undersøkelse av bekkenet hos multitraumatiserte er ikke pålitelig
Røntgen bekken bør utføres rutinemessig samtidig med røntgen thorax hos alle med alvorlige skader
Hos våkne pasienter uten andre smertefulle og distraherende skader kan man stole på klinisk undersøkelse av bekkenet
- 1.
American College of Surgeons. Advanced Trauma Life Support for doctors. Student course manual. Chicago: American College of Surgeons, 1997.
- 2.
Sundar T. Simulering – øvelse som gjør mester. Tidsskr Nor Lægeforen 1999; 119: 2700 – 1.
- 3.
Bosch U, Pohlemann T, Tscherne H. Primary management of pelvic injuries. Orthopäde 1992; 21: 385 – 92.
- 4.
Alonso JE, Lee J, Burgess AR, Browner BD. The management of complex orthopedic injuries. Surg Clin North Am 1996; 76: 879 – 903.
- 5.
Simpson T, Krieg JC, Heuer F, Bottlang M. Stabilization of pelvic ring disruption with a circumferential sheet. J Trauma 2002; 52: 158 – 61.
- 6.
Tøttermann A, Røise O. Initial behandling av pasienter med alvorlige bekkenfrakturer. Scand J Trauma Emerg Med 2002; 10: 22 – 6.
- 7.
Kregor PJ, Routt ML. Unstable pelvic ring disruptions in unstable patients. Injury 1999; 30 (suppl 2): 19 – 28.
- 8.
Pohlemann T, Bosch U, Gansslen A, Tscherne H. The Hannover experience in management of pelvic fractures. Clin Orthop 1994; 305: 69 – 80.
- 9.
Mucha P, Farnell MB. Analysis of pelvic fracture management. J Trauma 1984; 24: 379 – 86.
- 10.
Murr PC, Moore EE, Lipscomb R, Johnston RM. Abdominal trauma associated with pelvic fracture. J Trauma 1980; 20: 919 – 23.
- 11.
Gillott A, Rhodes M, Lucke J. Utility of routine pelvic X-ray during blunt trauma resuscitation. J Trauma 1988; 28: 1570 – 4.
- 12.
Kaneriya P, Schweitzer M, Spettell C, Cohen M, Karasick D. The cost-effectiveness of routine pelvic radiography in the evaluation of blunt trauma patients. Skeletal Radiol 1999; 28: 271 – 3.
- 13.
Resnik CS, Stackhouse DJ, Shanmuganathan K, Young JW. Diagnosis of pelvic fractures in patients with acute pelvic trauma: efficacy of plain radiographs. Am J Radiol 1992; 158: 109 – 12.
- 14.
Guillamondegui OD, Pryor JP, Gracias VH, Gupta R, Reilly PM, Schwab CW. Pelvic radiography in blunt trauma resuscitation: a diminishing role. J Trauma 2002; 53: 1043 – 7.
- 15.
Gonzalez R, Fried PQ, Bukhalo M. The utility of clinical examination in screening for pelvic fractures in blunt trauma. J Am Coll Surg 2002; 194: 121 – 5.
- 16.
Tien I, Dufel S. Does ethanol affect the reliability of pelvic bone examination in blunt trauma? Ann Emerg Med 2000; 36: 451 – 5.
- 17.
Duane TM, Tan BB, Golay D, Cole FJ, Wereiter LJ, Britt LD. Blunt trauma and the role of routine pelvic radiographs: a prospective analysis. J Trauma 2002; 53: 463 – 8.